高级检索

低温烧结银与金基界面互连研究进展

Research progress on low-temperature sintered silver and gold-based surface interconnections

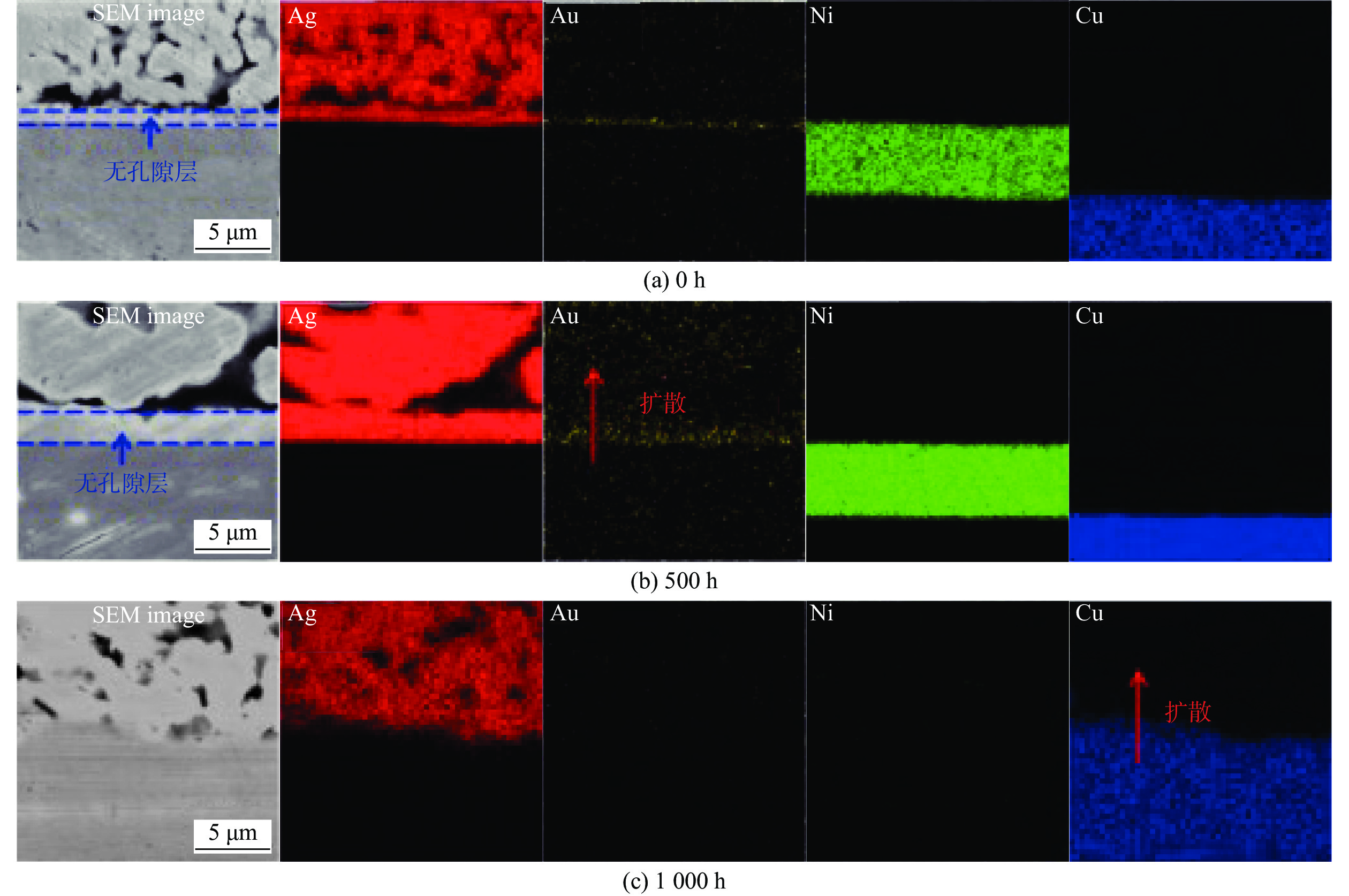
  • 摘要: 烧结银具有高导热、高导电以及良好的力学性能,可以实现低温烧结、高温应用,在高温高功率电子器件中有良好的应用前景. 目前烧结银与金基界面互连仍存在着抗剪强度低、可靠性差等问题. 文中首先比较烧结银与不同界面互连机制和互连性能,着重讨论和归纳烧结银−金互连机制和关键影响因素,然后对现有烧结银−金互连工艺进行分析总结,从烧结工艺、金基界面制备与可靠性等方面展开,最后通过对银−金互连领域研究成果的综述,对银−金互连课题未来发展方向进行了展望.

     

    Abstract: Sintered silver has strong thermal conductivity, electrical conductivity, and mechanical qualities, allowing it to accomplish "low-temperature sintering, high-temperature applications" in high-temperature high-power electronic devices. However, the interconnections between sintered silver and gold-based surfaces continue to suffer from issues such as low shear strength and poor dependability. Therefore, firstly, the interconnection mechanism and performance of sintered silver and different interfaces are compared, focusing on summarizing the sintered silver-gold interconnection mechanism and key influencing factors. Then, the existing sintered silver-gold interconnection processes are summarized in terms of sintering process, gold-based interface preparation and reliability. Finally, through the review of the research results in the field of silver-gold interconnections, the future development direction of the silver-gold interconnections topic is prospected.

     

/

返回文章
返回